0805 Lovosice – Řehlovice
-
Speedy Gonzales
- Příspěvky: 174
- Registrován: 14.3.2009 11:14:37
Re: 0805 Lovosice – Řehlovice
DSPS se také říká "odpočtovka" nebo "odpočet" a dělá se až po realizaci stavby nebo v jejím průběhu - jednoduše se zkreslí to, jak se to doopravdy postavilo, vč. změn a chyb. Podklady pro "odpočtovku" dodává především geodet, který hotovou stavbu zaměří v terénu.
Re: 0805 Lovosice – Řehlovice
Tento týden se usilovně pracuje na napojení nové přeložky silnice z Řehlovic do Habrovan, tipuji, že příští týden by se mohlo jezdit už po nové.
Jinak pracovní tempo na stavbě u Řehlovic je mírné, po 17 hod. je tam mrtvo. Nevím, která stavba leží na kritické cestě harmonogramu, vždy jsem myslel, že je to MÚK Řehlovice, ale asi se mýlím. Též se absolutně nic neděje u uzavřeného úseku R63, to zúžení je tam tuším už od května.
Jinak pracovní tempo na stavbě u Řehlovic je mírné, po 17 hod. je tam mrtvo. Nevím, která stavba leží na kritické cestě harmonogramu, vždy jsem myslel, že je to MÚK Řehlovice, ale asi se mýlím. Též se absolutně nic neděje u uzavřeného úseku R63, to zúžení je tam tuším už od května.
-
Martin z Ostravy
- Autor
- Příspěvky: 6939
- Registrován: 14.3.2009 10:27:45
- Bydliště: Ostrava a okolí
- Kontaktovat uživatele:
Re: 0805 Lovosice – Řehlovice
Kritickým místem je most přes Uhelnou strouhu, kde se, pokud vím, ještě ani nekoplo.
R48 -> D48 se podařilo!
Re: 0805 Lovosice – Řehlovice
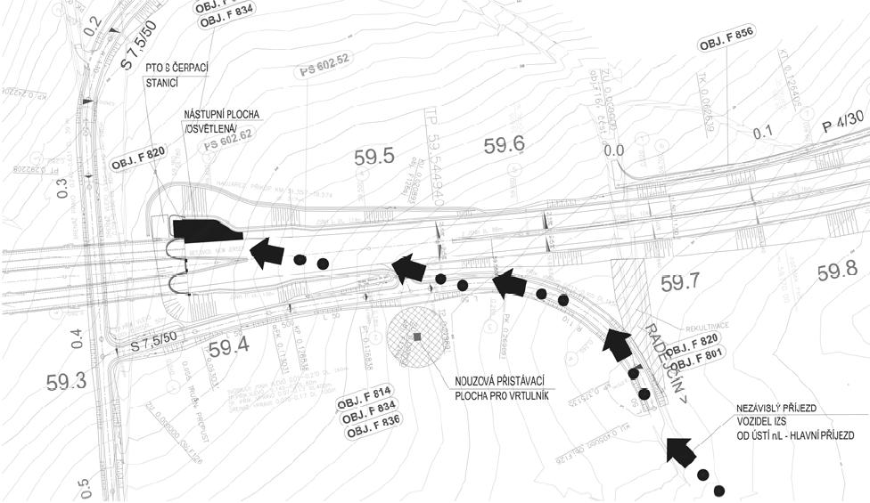
Pokud by se dokončily mosty přes Uhelnou strouhu (což je nepravděpodobné), tak si myslím, že by relativně brzo šlo provizorně zprovoznit dálnici jen pro OA napojením hned za tunelem Radejčín:
- Přílohy
-
- S_portal_Radejcin.JPG (81.48 KiB) Zobrazeno 7568 x
Re: 0805 Lovosice – Řehlovice
To by museli být velké problémy, aby došlo na toto řešení anebo by museli velmi rychle postavit aspoň v polovičním profilu most přes Uhelnou strouhu. Ta silnice je opravená, mohla by to přežít, ale uživatelé by byly nejspíš zmatení.
D47 už máme, teď ještě D48
Kam teče beton, tam tečou peníze. (Tonda Blaník)
Kam teče beton, tam tečou peníze. (Tonda Blaník)
Re: 0805 Lovosice – Řehlovice
Původně to kritické místo bylo, ale MUK Řehlovice. viz zdejší diskuse z dubna http://forum.ceskedalnice.cz/viewtopic. ... 052#p65052 a tam se letos koploMartin z Ostravy píše:Kritickým místem je most přes Uhelnou strouhu, kde se, pokud vím, ještě ani nekoplo.
Pokud dobře počítám tak jsou ještě dvě stavební sezóny a to by snad mohlo na postavení mostu mohlo stačit. On ten most nebude takový macek jako přes Opárenské údolí co jsem tak koukal.
Teď hlavně jak dopadne soud ohledně toho posledního odvolání. Máme už po krajských volbách a pomalu se chýlí konec stavební sezóny, tak by se do toho mohlo zase právně seknout ať víme do jara na čem jsme.
Re: 0805 Lovosice – Řehlovice
Dnes tj. v sobotu 20.10. dopoledne jsem pozoroval stavební činnost na Vámi uvedené přeložce, jinou činnost jsem na MÚK Řehlovice pohříchu nezaznamenal.huklos píše:Tento týden se usilovně pracuje na napojení nové přeložky silnice z Řehlovic do Habrovan, tipuji, že příští týden by se mohlo jezdit už po nové.
Jinak pracovní tempo na stavbě u Řehlovic je mírné, po 17 hod. je tam mrtvo. Nevím, která stavba leží na kritické cestě harmonogramu, vždy jsem myslel, že je to MÚK Řehlovice, ale asi se mýlím. Též se absolutně nic neděje u uzavřeného úseku R63, to zúžení je tam tuším už od května.
Re: 0805 Lovosice – Řehlovice
Pracovní dobu mají na ceduli uvedenou Po-Pá 7-17, takže to odpovídá.huklos píše:Jinak pracovní tempo na stavbě u Řehlovic je mírné, po 17 hod. je tam mrtvo.
Stavba se opět o něco prodraží. Nechápu o co jde, ty velké stavby už jsou snad hotové?
http://www.denik.cz/ustecky-kraj/stavba ... -qqu5.html
Re: 0805 Lovosice – Řehlovice
No dobrý blábol. Zeptali se ŘSD, zda se může prodražit a oni řekli ano, stavba není tak rozestavěná, aby se dalo prodražení vlivem geologie vyvrátit.Kuba píše:Pracovní dobu mají na ceduli uvedenou Po-Pá 7-17, takže to odpovídá.huklos píše:Jinak pracovní tempo na stavbě u Řehlovic je mírné, po 17 hod. je tam mrtvo.
Stavba se opět o něco prodraží. Nechápu o co jde, ty velké stavby už jsou snad hotové?
http://www.denik.cz/ustecky-kraj/stavba ... -qqu5.html
Jak mohli dodělat geologický průzkum, když se z těžkou technikou třeba do uhelné strouhy nemůžou dostat dosud?
Re: 0805 Lovosice – Řehlovice
Problém s průzkumy je spíš u Řehlovic. Dílem i z důvodu, že průzkum se dělá podle DUR a následně byly k DSP učiněny některé změny bez doplňujících průzkumů... V prostředí převážně vulkanického původu, kde se podmínky můžou měnit v řádu metrů je tak celkem zaděláno na problém...
Re: 0805 Lovosice – Řehlovice
Té cedule jsem si také všimnul. Akorát to tedy neodpovídá mojí představě, kterou jsem si vytvořil na základě toho co je prezentováno v médiích a toho, že průtahů už bylo víc než dost tj. že je potřeba dostavět tu dálnici co nejrchleji.Kuba píše:Pracovní dobu mají na ceduli uvedenou Po-Pá 7-17, takže to odpovídá.
Re: 0805 Lovosice – Řehlovice
Začátek je vždycky pomalejší.
D47 už máme, teď ještě D48
Kam teče beton, tam tečou peníze. (Tonda Blaník)
Kam teče beton, tam tečou peníze. (Tonda Blaník)
Re: 0805 Lovosice – Řehlovice
A prostředek se nesmí uspěchat a na konci už je beztak pozděLenny píše:Začátek je vždycky pomalejší.
Re: 0805 Lovosice – Řehlovice
Řekl bych, že to není vtip, ale realitadd píše:A prostředek se nesmí uspěchat a na konci už je beztak pozděLenny píše:Začátek je vždycky pomalejší.
Re: 0805 Lovosice – Řehlovice
V dnešních HN je vyjádření Davida Čermáka, že ŘSD rezignovalo na získání evropské dotace na D8. Mluví se tam o 6mld. Kč, ale já si pamatuji, že to původně bylo 8 mld.
"Je férové si přiznat, že nemůžeme dotaci získat. Problém byl už ve výběrovém řízení, potom ve vícepracích a koneckonců i v územním rozhodnutí." sděluje Čermák.
"Je férové si přiznat, že nemůžeme dotaci získat. Problém byl už ve výběrovém řízení, potom ve vícepracích a koneckonců i v územním rozhodnutí." sděluje Čermák.
Re: 0805 Lovosice – Řehlovice
Kuba: Připravit stát o 8 mld, to je slušný výkon. Příslušní úředníci a politici by se měli o tu částku podělit a zaplatit to, zejména ti co to zpackali už na začátku celého procesu s EIA (SEA), protože tam je jádro všech problémů. Ale to se bohužel u nás nestává, aby někdo ze státní správy nesl za něco zodpovědnost ....
Re: 0805 Lovosice – Řehlovice
Doktore
, zatím nikdo stát o nic nepřipravil, pokud budou realizovány náhradní projekty, příspěvek z EU se bez problémů vyčerpá. Samozřejmě pokud ještě bude nějaká EU
, bruselští ochránci (nejen) našich ekoteroristů pracují dost usilovně na jejím rozkladu.
Re: 0805 Lovosice – Řehlovice
A co to dát zaplatit Patrikovi, Dětem Země nebo Studničkovi?Dr.Fe1 píše:Kuba: Připravit stát o 8 mld, to je slušný výkon. Příslušní úředníci a politici by se měli o tu částku podělit a zaplatit to, zejména ti co to zpackali už na začátku celého procesu s EIA (SEA), protože tam je jádro všech problémů. Ale to se bohužel u nás nestává, aby někdo ze státní správy nesl za něco zodpovědnost ....
Nebýt jich, už jezdíme do Drážďan po dálnici...
Re: 0805 Lovosice – Řehlovice
mbmat: Nechce se mi věřit, že byste byl tak hloupý, patrně jenom provokujete, což se mi tedy moc nelíbí, já jsem zastáncem věcné diskuze. Odvolávat se proti úředním rozhodnutím je základní občanské právo a nikdo za využití tohoto práva nemůže být trestán, to by bylo proti těm nejzákladnějším právním principům. Kdyby úředníci jednali v souladu se zákonem, tak nikdo s odvoláním neuspěje.
Re: 0805 Lovosice – Řehlovice
Ne, ale soudy by při posuzování těchto věcí (a to zejména, pokud aplikují právní normu, kde je prostor pro uvážení) měly přihlížet ke všem okolnostem případu, a ne jen hledat formální nedostatky.Dr.Fe1 píše:mbmat: Nechce se mi věřit, že byste byl tak hloupý, patrně jenom provokujete, což se mi tedy moc nelíbí, já jsem zastáncem věcné diskuze. Odvolávat se proti úředním rozhodnutím je základní občanské právo a nikdo za využití tohoto práva nemůže být trestán, to by bylo proti těm nejzákladnějším právním principům. Kdyby úředníci jednali v souladu se zákonem, tak nikdo s odvoláním neuspěje.
Re: 0805 Lovosice – Řehlovice
Pivko: Přesně tak, existuje přece nejen litera zákona, ale i smysl zákona. A smyslem zákonů, které zneužívají ekoteroristé, rozhodně není umožnit občanskému sdružení o třech členech, z nichž jednoho nikdo nezná a druhý je stíhán za vydírání (je tedy přinejmenším sprostý podezřelý
), blokovat stavbu, která přinese úlevu statisícům lidí a také velké části CHKO! Nicméně na obranu soudců je třeba říci, že takový bordel, co udělali tvůrci naší legislativy, se hned tak nevidí (viz nedávné vyjádření předsedy NSS).
Re: 0805 Lovosice – Řehlovice
Pod to bych se podepsal doslova. A bohužel se jedná o legislativu obecně.
Re: 0805 Lovosice – Řehlovice
To jsou věci, vy, odpůrce pravdoláskařů, snad obhajujete Havlův duch zákonaStanda píše:Pivko: Přesně tak, existuje přece nejen litera zákona, ale i smysl zákona...
Soudit podle smyslu zákona se vrchnosti nehodí. Co kdyby soudce dospěl k tomu, že když něco má všechny znaky krádeže, tak to také krádeží je a nikoliv jen nestandardním podnikáním. To by se další zasedání parlamentu a vlády konalo na Pankráci
Re: 0805 Lovosice – Řehlovice
Když mohl Havel nepodepsat třeba ten zákon o dokončení obchvatu Plzně, který měl zamezit právním kličkám vlastně proti duchu zneužívaných zákonů, jen proto, že se náhodou zrovna tento zákon obrátil proti jeho chráněncům, jistě jen nedopatřením tyjícím z poněkud nedokonalé litery oněch zákonů ...JirkaS píše:...To jsou věci, vy, odpůrce pravdoláskařů, snad obhajujete Havlův duch zákona
Soudit podle smyslu zákona se vrchnosti nehodí. Co kdyby soudce dospěl k tomu, že když něco má všechny znaky krádeže, tak to také krádeží je a nikoliv jen nestandardním podnikáním. To by se další zasedání parlamentu a vlády konalo na Pankráci
Re: 0805 Lovosice – Řehlovice
Podle mě záměr krytý dobře zaplacenou neschopností. "Nejdokonalejší" pak bývají poslanecké pozměňující návrhy. Takový Marek Benda dokáže jedním pozměňujícím návrhem změnit smysl celého zákona. Tak dobrý právník sám jistě není...Standa píše:A i tady si kladu otázku, jestli je to neschopnost nebo záměr.