[D0] 511 Běchovice – Modletice (D1)

Odpovědět
michal
Příspěvky: 6123
Registrován: 14.3.2009 8:53:04

Re: [D0] 511 Běchovice – Modletice (D1)

Příspěvek od michal »

Každý malý krůček vpřed se cení! Moc dobře si pamatuju, jak jsem seděl v autě a v rádiu hlásili, že 511 nebude zařazena mezi prioritní stavby s nějakou tou EIA výjimkou. Radši už se ani nepídím po tom, jak dlouho už to je... :crazy: :crazy: :crazy:
Dusanh
Příspěvky: 739
Registrován: 11.5.2010 10:53:25

Re: [D0] 511 Běchovice – Modletice (D1)

Příspěvek od Dusanh »

Greyfin píše: 11.6.2024 7:45:47
Kuba píše: 1.6.2024 10:48:22 Včera jsem si všiml, že byla zdemolována ČS na ŠR směr do centra. Po 5 letech co jsem to tu psal. Zřejmě jedna z prvních stavebních akcí ohledně 511.
Už si toho všiml i Sůraweb :)
Budoucímu Pražskému okruhu ustoupila čerpací stanice MOL, ŘSD má již 85 % smluv na pozemky
https://zdopravy.cz/budoucimu-prazskemu ... ky-208909/
Bude se (někdy v budoucnu) rušit i pumpa Shell na křižovatce 511/D1 ve směru na Prahu?
michal
Příspěvky: 6123
Registrován: 14.3.2009 8:53:04

Re: [D0] 511 Běchovice – Modletice (D1)

Příspěvek od michal »

To by bylo hezké, ale jestli na to nedošlo dosud, kdy kolem pumpy projížděl tranzit z 512 na JS, tak nepředpokládám, že s hotovou 511 to bude ještě někdo řešit...
Geo
Příspěvky: 937
Registrován: 11.5.2009 11:06:39

Re: [D0] 511 Běchovice – Modletice (D1)

Příspěvek od Geo »

Tak ja doufam, ze to resili uz tehdy. A soucasna situace je mozna jen diky tomu, ze to co ma slouzit v budoucim kolektoru jako propojovaci pruh z 511, v soucasne dobe slouzi jako odbocovaci pruh k pumpe. V opacnem pripade by z toho byl sakra kratky pruplet.
mapman
Autor
Příspěvky: 6294
Registrován: 25.2.2009 22:20:05

Re: [D0] 511 Běchovice – Modletice (D1)

Příspěvek od mapman »

Shellka se likvidovat nebude, ale dostaví se kolem ní kolektor.
michal
Příspěvky: 6123
Registrován: 14.3.2009 8:53:04

Re: [D0] 511 Běchovice – Modletice (D1)

Příspěvek od michal »

To se vejde? :shock:
mapman
Autor
Příspěvky: 6294
Registrován: 25.2.2009 22:20:05

Re: [D0] 511 Běchovice – Modletice (D1)

Příspěvek od mapman »

Vejde, bude muset :)
darwousek
Příspěvky: 1614
Registrován: 21.10.2021 20:28:02
Bydliště: U I/4 v budoucnu snad M4

Re: [D0] 511 Běchovice – Modletice (D1)

Příspěvek od darwousek »

Možná lepší si se shellkou u Modletic nezahrávat.... Aby se situace z r. 2011 neopakovala :roll: .
Křižovatky I/_ × II/__ mají být MÚK nikdy ne OK .
D4 Má být minimálně do Strakonic.
Mike
Příspěvky: 6063
Registrován: 15.3.2009 14:09:33

Re: [D0] 511 Běchovice – Modletice (D1)

Příspěvek od Mike »

michal píše: 11.6.2024 8:04:19 Každý malý krůček vpřed se cení! Moc dobře si pamatuju, jak jsem seděl v autě a v rádiu hlásili, že 511 nebude zařazena mezi prioritní stavby s nějakou tou EIA výjimkou. Radši už se ani nepídím po tom, jak dlouho už to je... :crazy: :crazy: :crazy:
to já si moc dobře pamatuji, když jsme se v roce 1980 stěhovali z Vršovic na Jahodnici
a každou neděli byla kolona na Českobrodské, jak táta říkal, bude radiála a bude tu klid
tak té se ještě dožil
a pak když jsme jeli po relativně nedávno dokončené D1 do Brna na podnikovou rekreaci, tak při propletání se mezi zcelenými lány, okolo vesniček s názvy Dubeč, Uhříněves, Průhonice... povídal
a tady bude jednou dálnice až do Počernic...
té už se nedožil...
tak snad alespoň já ;)
Česká zákonodárnost – odpovědným budiž ten, koho lze nejsnadněji chytit
kot
Příspěvky: 13955
Registrován: 17.6.2010 0:19:32

Re: [D0] 511 Běchovice – Modletice (D1)

Příspěvek od kot »

Darwousku díky za osvěžení paměti s těmi chrty ! :P Tehdy to byla velká kauza... ;)
PetrN
Příspěvky: 1176
Registrován: 8.3.2022 10:50:52
Bydliště: 1km od budoucí MUK D2xD52

Re: [D0] 511 Běchovice – Modletice (D1)

Příspěvek od PetrN »

Vždyť je to celé totální úlet :D naprosto zbytečná benzínka, která je zároveň hojně používaná k parkování aut zaměstnanců CTParku, který je primárně napojen od Nupak, naštěstí bez vzájemného propojení s bezinkou. Ideálně samozřejmě benzínku úplně zrušit, protáhnout kolektor a na úkor části plochy benzínky rozšířit přilehlý areál CTP. Toto nemá na dálnici co dělat...
Jo a mimochodem, počítá se výhledově s obnovením 3 průběžných pruhů ve směru na Prahu v případě protažení kolektoru? Rozplet na D1 a D0 koukám že je zřejmě šířkově připraven na 3+2, jen by to rozšíření chtělo poněkud prodloužit, myslím že by situace byla ještě horší než je dnes na tom pseudo-dvoupruhovém odbočení z 3 na 2+2...
Geo
Příspěvky: 937
Registrován: 11.5.2009 11:06:39

Re: [D0] 511 Běchovice – Modletice (D1)

Příspěvek od Geo »

Toto hlavne nema co delat uprostred krizovatky dvou dalnic. Tam pomalu pri tankovani u prvniho stojanu precuhuje kamion do kolektrou. Navic ten vjezd je tam rovne, pokud to neprojde upravou. Tak snad to tam nekdo spektakularne nerozstreli.
mapman
Autor
Příspěvky: 6294
Registrován: 25.2.2009 22:20:05

Re: [D0] 511 Běchovice – Modletice (D1)

Příspěvek od mapman »

PetrN píše: 11.6.2024 21:51:27 Vždyť je to celé totální úlet :D naprosto zbytečná benzínka, která je zároveň hojně používaná k parkování aut zaměstnanců CTParku, který je primárně napojen od Nupak, naštěstí bez vzájemného propojení s bezinkou. Ideálně samozřejmě benzínku úplně zrušit, protáhnout kolektor a na úkor části plochy benzínky rozšířit přilehlý areál CTP. Toto nemá na dálnici co dělat...
Jo a mimochodem, počítá se výhledově s obnovením 3 průběžných pruhů ve směru na Prahu v případě protažení kolektoru? Rozplet na D1 a D0 koukám že je zřejmě šířkově připraven na 3+2, jen by to rozšíření chtělo poněkud prodloužit, myslím že by situace byla ještě horší než je dnes na tom pseudo-dvoupruhovém odbočení z 3 na 2+2...
S obnovením tří pruhů se nepočítá. Nicméně ke změně dojde, má dojít k propojení kolektoru a hlavní trasy pro směr Říčany->Praha ještě před připojením větve od 511ky směr centrum a od tohoto místa budou 3 pruhy. Pak se protáhne na kolektoru jeden pruh kolem pumpy (511->Praha) za podmínky, že dojde k odstranění jednoho krajního stojanu včetně části zastřešení. A na konci se tento pruh i pruh od pumpy připojí k třípruhovému pásu dálnice.
Aram96
Příspěvky: 10434
Registrován: 13.8.2018 20:56:09
Bydliště: A88-R43-D43-I/43-I/73-?-?

Re: [D0] 511 Běchovice – Modletice (D1)

Příspěvek od Aram96 »

A to zachování odbočení z kolektoru na pumpu je opravdu nutné ? Vždyť je to i černý sjezd, proč se to jednoduše nezakáže ?
Nicméně to řešení kvituju, určitě to bude lepší než dnešní stav. Proti ideálnímu řešení to bude samozřejmě vzdálené na 100 honů. Ten průplet mezi 511-centrum a Říčany-pumpa bude brutus.
mapman
Autor
Příspěvky: 6294
Registrován: 25.2.2009 22:20:05

Re: [D0] 511 Běchovice – Modletice (D1)

Příspěvek od mapman »

To odbočení na pumpu není černý sjezd. Pumpa tam historicky byla řádně povolená a její odříznutí od dálnice by muselo být spojeno s tučnou kompenzací. Takže pro stát je výhodnější tam pumpu ponechat.
ada031
Příspěvky: 3164
Registrován: 14.6.2010 9:33:18

Re: [D0] 511 Běchovice – Modletice (D1)

Příspěvek od ada031 »

Posun č. 23 - nově 19.07.2024
kot
Příspěvky: 13955
Registrován: 17.6.2010 0:19:32

Re: [D0] 511 Běchovice – Modletice (D1)

Příspěvek od kot »

S obnovením tří pruhů se nepočítá. Nicméně ke změně dojde, má dojít k propojení kolektoru a hlavní trasy pro směr Říčany->Praha ještě před připojením větve od 511ky směr centrum a od tohoto místa budou 3 pruhy. Pak se protáhne na kolektoru jeden pruh kolem pumpy (511->Praha) za podmínky, že dojde k odstranění jednoho krajního stojanu včetně části zastřešení. A na konci se tento pruh i pruh od pumpy připojí k třípruhovému pásu dálnice.
[/quote]

A to je tutovka obsažená v projektu, mapmane ? :?:
PetrN
Příspěvky: 1176
Registrován: 8.3.2022 10:50:52
Bydliště: 1km od budoucí MUK D2xD52

Re: [D0] 511 Běchovice – Modletice (D1)

Příspěvek od PetrN »

K tomu propojení dojde až kousek před připojením 511, tj. svede se na D1 jak z MUK Říčany tak i od D0 512? Tím pádem pak do toho krátkého průpletu s 511 pojedou jen těch pár aut na benzínku? Bylo by hezké Říčany a D0 512 stáhnout na D1 bez možnosti jet dál kolektorem, tím pádem by se průplet zrušil a byla by možnost odbočení na benzínku jen od 511, ale hádám že toto by se rovněž neobešlo bez tučných kompenzací :D
kot
Příspěvky: 13955
Registrován: 17.6.2010 0:19:32

Re: [D0] 511 Běchovice – Modletice (D1)

Příspěvek od kot »

Co jsou to tučné kompenzace ? Nestálo by za to do toho investovat, ať je to co nejlepší ? Není to šetření na nesprávném místě ? Chceme zase ušetřit na úkor sprasení ? ;)
Aram96
Příspěvky: 10434
Registrován: 13.8.2018 20:56:09
Bydliště: A88-R43-D43-I/43-I/73-?-?

Re: [D0] 511 Běchovice – Modletice (D1)

Příspěvek od Aram96 »

mapman píše: 12.6.2024 15:28:02 To odbočení na pumpu není černý sjezd. Pumpa tam historicky byla řádně povolená a její odříznutí od dálnice by muselo být spojeno s tučnou kompenzací. Takže pro stát je výhodnější tam pumpu ponechat.
Aha tak to se omlouvám. Já měl za, že tam vzadu jde odpočívku opustit prostě pryč. Teď se dívám, že to nejde .. tak to budiž.
Na druhou stranu .. prostě vznikne dosti krátký průplet a ještě jde navíc o odpočívku, kterou dálnice opravdu postrádat může. Ale je mi jasné, že by to mohli být bratránci 2.0.

PetrN: já si to tedy představil tak, že současný připojovák z 512 bude vlastně nově odbočovací pruh na odpočívku. Na jeho konci ten levý pruh právě přejde na hlavní trasu. Takže tam bude probíhat “výměna” od Říčan a z 512 na hlavní trasu + na odpočívku. Pak se přidává pruh z 511 a bude průplet odpočívka + kolektor podél odpočívky a za odpočívkou se připojí odpočívka a již stojícím připojovákem se to vše “dopřipojí”. :) Velká výhoda je v tom, že v tom nejhorším průpletu už vůbec nebudou auta od Říčan (a z 512) jedoucí na hlavní trasu.
PetrN
Příspěvky: 1176
Registrován: 8.3.2022 10:50:52
Bydliště: 1km od budoucí MUK D2xD52

Re: [D0] 511 Běchovice – Modletice (D1)

Příspěvek od PetrN »

Arame, oba jsme to mysleli úplně stejně. Já jen přidal hypotetickou možnost že by se relace od 512 a Říčan (a vlastně i od Brna) k benzínce úplně zařízla (natvrdo by se kolektor připojil do hlavní trasy) a benzínka by zůstala napojená jen od 511 a tím pádem by tam nebyl ten krátký průplet ale jen odbočovák defakto jak nyní, ale to je to co by samozřejmě neprošlo :D
mapman
Autor
Příspěvky: 6294
Registrován: 25.2.2009 22:20:05

Re: [D0] 511 Běchovice – Modletice (D1)

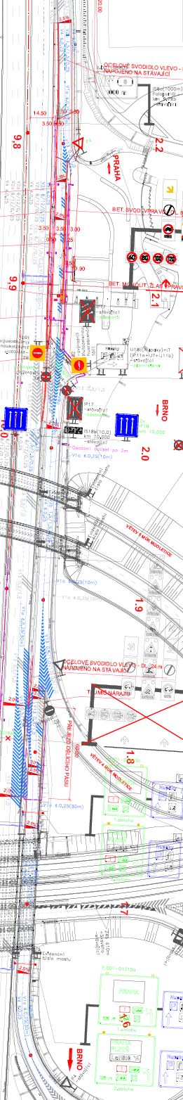
Příspěvek od mapman »

Pro upřesnění výřez z dokumentace:
D1 Nupaky.png
D1 Nupaky.png (338.15 KiB) Zobrazeno 2824 x
pjezek164
Příspěvky: 940
Registrován: 9.7.2012 9:30:55

Re: [D0] 511 Běchovice – Modletice (D1)

Příspěvek od pjezek164 »

Přehledné, díky, mapmane.
Aram96
Příspěvky: 10434
Registrován: 13.8.2018 20:56:09
Bydliště: A88-R43-D43-I/43-I/73-?-?

Re: [D0] 511 Běchovice – Modletice (D1)

Příspěvek od Aram96 »

PetrN píše: 13.6.2024 8:44:00 Arame, oba jsme to mysleli úplně stejně. Já jen přidal hypotetickou možnost že by se relace od 512 a Říčan (a vlastně i od Brna) k benzínce úplně zařízla (natvrdo by se kolektor připojil do hlavní trasy) a benzínka by zůstala napojená jen od 511 a tím pádem by tam nebyl ten krátký průplet ale jen odbočovák defakto jak nyní, ale to je to co by samozřejmě neprošlo :D
Pak by se mohla zbořit rovnou. ;) :)

Já jen žasnu, jak je někde problém udělat NUTNOU a KAPACITNÍ odpočívku třeba 1 km od MÚK (nebo něco v oku MÚK) a podobně a tady se povolí taková prasárna a opičárna kvůli pidi pumpě, když 3 km vedle je další. :crazy:

Nicméně po této plánované přestavbě uznávám, že už to bude vše o dost lepší, než je dnes. Jenže i do té úpravy se budou muset nějaké peníze nalít, doufám, že to bude tak do 20 mil. Kč.
Geo
Příspěvky: 937
Registrován: 11.5.2009 11:06:39

Re: [D0] 511 Běchovice – Modletice (D1)

Příspěvek od Geo »

kot píše: 12.6.2024 22:19:48 Co jsou to tučné kompenzace ? Nestálo by za to do toho investovat, ať je to co nejlepší ? Není to šetření na nesprávném místě ? Chceme zase ušetřit na úkor sprasení ? ;)
Tucne kompenzace jsou 300 milionu. V clanku se pise, ze to je nejvetsi cena za m2, co kdy stat zaplatil. Prepocital jsem to, a je to 30 000 za m2. Deset let pote mi to tak hrozny neprijde ;) . Z dnesniho pohledu se ma spis cenu ptat, co by se za to tehda dalo poridit lepsiho.

Trochu jsem po kauze Bratranku doufal, ze RSD dostatecne ukazalo, ze mu stoji za to jit do hodne dlouheho sporu, misto tolerovani paskvilu. Bohuzel tady to vypada, ze tehdy se rozhodlo jinak, a dnes uz to nikdo asi nechce menit. A jen doufam, ze to neni jen tim, ze nekdo, zna nekoho...
Odpovědět

Zpět na „Pražský okruh D0“