I/4 Obecně

(D4, I/20) – Strakonice (I/22) – Vimperk – Německo
darwousek
Příspěvky: 1614
Registrován: 21.10.2021 20:28:02
Bydliště: U I/4 v budoucnu snad M4

Re: I/4 Obecně

Příspěvek od darwousek »

Předpokládám že reaguješ na příspěvek ohledně návštěvy premiéra ve Vimperku.

Tipl bych si to :) , do návštěvy premiéra byli patníky kolem cesty řekněme v žalostném stavu. 7.6. byl Fiala ve Vimperku a 8.6 tam byli v celé délce od Čkyně do Vimperka čety pracovníků co rovnali a místy i dávali nové patníky, nevím jestli to bylo přímo na stížnost ale vyložil jsem si to tak.

Jinak ke správě, řekl bych že zrovna Jihočeská správa není tak špatná, jen neberou I/4 vážně. Dalo by se říct že příprava přeložek tu skončila v r. 2004 zahájením stavby Nová Houžná - Hlíniště. Od té doby se tu tiše občas něco objevilo jako studie na obchvat Volyně z r. 2008 kde to skončilo zjišťovacím řízením, kdyby pokračovali mohlo se teď jezdit/ minimálně stavět...

Dalo by se říct že pořádně se příprava staveb rozjela zase v r. 2021 stavbou Volyně – Zlešice, přeložka, potom v r. 2023 stavba Strunkovice nad Volyňkou - Volyně a letos v lednu obchvat Strakonic... Doufám že od r. 2030 se tu ty stavby pořádně rozjedou, do té doby by mohli ještě začít připravovat Lčovice - Vimperk a Šumavský úsek po Novou Houžnou aby se stavělo kontinuálně třeba do r. 2040.
Křižovatky I/_ × II/__ mají být MÚK nikdy ne OK .
D4 Má být minimálně do Strakonic.
martas
Příspěvky: 2987
Registrován: 18.5.2009 20:17:17
Bydliště: Choceň

Re: I/4 Obecně

Příspěvek od martas »

Zahájeno společné řízení na přestavbu MÚK Nová Hospoda: https://www.kraj-jihocesky.cz/system/fi ... %20MÚK.pdf
darwousek
Příspěvky: 1614
Registrován: 21.10.2021 20:28:02
Bydliště: U I/4 v budoucnu snad M4

Re: I/4 Obecně

Příspěvek od darwousek »

Není to trošku brzy když se má stavět 2031 ? :)
Křižovatky I/_ × II/__ mají být MÚK nikdy ne OK .
D4 Má být minimálně do Strakonic.
Marek 3035
Příspěvky: 187
Registrován: 27.2.2023 5:45:32
Bydliště: Stochov

Re: I/4 Obecně

Příspěvek od Marek 3035 »

https://zdopravy.cz/urad-schvalil-kompl ... ne-216480/
Úřad schválil kompletní přeložku silnice I/4 severně od Volyně
darwousek
Příspěvky: 1614
Registrován: 21.10.2021 20:28:02
Bydliště: U I/4 v budoucnu snad M4

Re: I/4 Obecně

Příspěvek od darwousek »

Trošku historičtější otázka, ale našel jsem na wayback stránku která dobře zpracovává historii I/4 kde je zmíněna jakási stavba
Přeložka Vimperk délky 4,5 s realizací 2000 až 2003
, mohl bych se zeptat o co mělo v té době jít :?: Estakáda společně s přestavbou I/4 Vimperkem v té době již stála mělo tedy jít o nějaký "nový obchvat" ?
Křižovatky I/_ × II/__ mají být MÚK nikdy ne OK .
D4 Má být minimálně do Strakonic.
evilcleaner
Příspěvky: 1237
Registrován: 7.1.2013 17:57:52
Bydliště: ostrava

Re: I/4 Obecně

Příspěvek od evilcleaner »

to jsou lennyho stranky *srdicko* :)
Svoboda neznamená nutit ostatní do něčeho, co považujete za správné.
darwousek
Příspěvky: 1614
Registrován: 21.10.2021 20:28:02
Bydliště: U I/4 v budoucnu snad M4

Re: I/4 Obecně

Příspěvek od darwousek »

Ajo, copyrightu jsem si všiml až teď :)
Křižovatky I/_ × II/__ mají být MÚK nikdy ne OK .
D4 Má být minimálně do Strakonic.
darwousek
Příspěvky: 1614
Registrován: 21.10.2021 20:28:02
Bydliště: U I/4 v budoucnu snad M4

Re: I/4 Obecně

Příspěvek od darwousek »

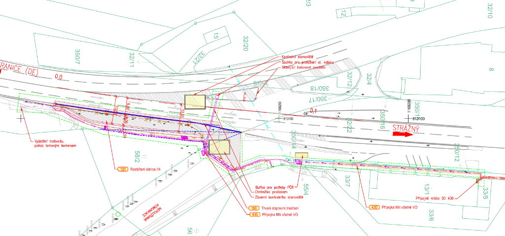
Na hranicích se staví, konkrétně jde o "Úpravu silnice I/4 na hraničním přechodu Strážný" v popisu na TA se konkrétně píše
Předmětem tohoto projektu je příprava zázemí pro případnou uzávěru státní hranice, stavba osvětleného místa s přípojkou NN.
Snímek obrazovky 2024-10-24 233229.png
Snímek obrazovky 2024-10-24 233229.png (256.47 KiB) Zobrazeno 3990 x
Když jsem to včera viděl v praxi trošku jsem se lekl že se bude mrvit jediný 4-pruh na I/4 :)



P.S. doufám že tyhle mini reporty o každém chomítnutí na I/4 nikomu nepřekáží
Křižovatky I/_ × II/__ mají být MÚK nikdy ne OK .
D4 Má být minimálně do Strakonic.
Lenny
Autor
Příspěvky: 12227
Registrován: 15.3.2009 22:03:53
Bydliště: na levém břehu Dunaje

Re: I/4 Obecně

Příspěvek od Lenny »

Není jediný, ještě je před Prahou.
D47 už máme, teď ještě D48
Kam teče beton, tam tečou peníze. (Tonda Blaník)
darwousek
Příspěvky: 1614
Registrován: 21.10.2021 20:28:02
Bydliště: U I/4 v budoucnu snad M4

Re: I/4 Obecně

Příspěvek od darwousek »

To jo, ale to bude brzy (doufám) dálnice, tohle je fakt jediný I/4 4-pruh který vydrží.
Křižovatky I/_ × II/__ mají být MÚK nikdy ne OK .
D4 Má být minimálně do Strakonic.
kot
Příspěvky: 13956
Registrován: 17.6.2010 0:19:32

Re: I/4 Obecně

Příspěvek od kot »

Snad "časem" ještě něco přibyde...
Mike
Příspěvky: 6063
Registrován: 15.3.2009 14:09:33

Re: I/4 Obecně

Příspěvek od Mike »

a tu uzávěru si představují jak ?
jestli Ippen, tak 3x sláva 8-)
Česká zákonodárnost – odpovědným budiž ten, koho lze nejsnadněji chytit
darwousek
Příspěvky: 1614
Registrován: 21.10.2021 20:28:02
Bydliště: U I/4 v budoucnu snad M4

Re: I/4 Obecně

Příspěvek od darwousek »

pojďme nebýt OT
PetrN píše: 18.11.2024 8:27:50
NullDeVoid píše: 17.11.2024 18:07:59 darwousek: Mně stále faascinuje, jak Písek má přivaděč v podobě S20, ale do Strakonic jen obyčejná silnice, i když ty města jsou ± stejně velký. Dálnici dotáhnout tam je totální no-brainer.
Mě to naopak přijde naprosto logické. S20 zároveň slouží jako část propojení Plzně s ČB a intenzity provozu hovoří také naprosto jasně. S20 od Nové hospody na Písek má v pracovní dny 15 tis., z toho 1500 NSN, zatímco I/4 na Strakonice má jen necelých 8 tis., z toho 800 NSN a tento nepoměr se ještě víc změní ve prospěch S20. Víc než střídavý třípruh mi na Strakonice ani nedává smysl, ani mi zde nelze aplikovat ucelenost tahu narozdíl od S13 či D35.

1. Ano na Písek je 15tis. denně a na Strakonice "pouze 8tis." Těsně před Strakonicemi je však 10 tis.... A já neříkám že do Písku nemá vést 4-pruh, já pouze říkám že 4-pruh má vést i do Strakonic a do budoucna rovnou i na Plzeň v rámci jižního půlokruhu, u Nové Hospody potom vznikne solidní dálniční uzel.

2. Ucelený tah ? Jistě že má být I/4 potažmo D4 ucelený tah, s D4 přes Šumavu a do Pasova už radši držím hu**. Ale D4 do Strakonic a M4 (3-pruh) ze Strakonic na Šumavu mi přijde realizovatelný, právě tam by se podle mě měla stavět ta S 15,25, a jsem přesvědčený že ty stávající 4tis./24h jsou zlomek toho co tam bude po dostavbě D4, a tohle už tu prohlašuju minimálně druhým rokem. Ono to bude trošku méně i reálně, jelikož jsou to covidová data kdy asi na hranice moc lidí nesmělo, Němci mají na B12 data i z roku 2022 a podle nich tam je cca 5200/24h Automatische Zählstellen 2022 Dauerzählstelle: Philippsreut s tím že 13% tvoří kamiony, čemuž už bych i věřil.
Křižovatky I/_ × II/__ mají být MÚK nikdy ne OK .
D4 Má být minimálně do Strakonic.
Aram96
Příspěvky: 10434
Registrován: 13.8.2018 20:56:09
Bydliště: A88-R43-D43-I/43-I/73-?-?

Re: I/4 Obecně

Příspěvek od Aram96 »

Odkud by ta doprava z Šumavy a okolí narostla ?
Stavět silnice jenom proto, že pak doprava naroste, je úplná blbost. Přesně tohle jako společnost naopak nechceme. ;-)
Stavíme tam, kde už je jí hodně, nebo tam, kde uleví jiným silnicím/obcím. Ne tam, kde zatím není, a je to tak správně. Na to opravdu nemáme.
4-pruh nebo pořádný 3-pruh Plzeň-Písek-ČB je něco jiného.

Když přirovnám I/4 k něčemu odpovídajícímu, tak nás možná během roku dvou čeká rozhodování o tom, co stavět na hranice s Polskem z D35. A kdyby Poláci stavěli 4-pruh až na hranice, tak se logicky nabízí taky 4-pruh, i když na to intenzity nejspíš nikdy nebudou. Ale tady do Pasova to nedává smysl ani kvůli návaznosti, natož kvůli intenzitám. Vždyť je problém, aby MD schválilo 3-pruhy i na silnicích, kde jezdí kamionů tak 4-násobek. :crazy:
kot
Příspěvky: 13956
Registrován: 17.6.2010 0:19:32

Re: I/4 Obecně

Příspěvek od kot »

Úplný souhlas ! :kladivo:
darwousek
Příspěvky: 1614
Registrován: 21.10.2021 20:28:02
Bydliště: U I/4 v budoucnu snad M4

Re: I/4 Obecně

Příspěvek od darwousek »

Křižovatky I/_ × II/__ mají být MÚK nikdy ne OK .
D4 Má být minimálně do Strakonic.
kot
Příspěvky: 13956
Registrován: 17.6.2010 0:19:32

Re: I/4 Obecně

Příspěvek od kot »

Obě to dostaly zaplaceno, takže kde je problém darwousku ? :twisted:
darwousek
Příspěvky: 1614
Registrován: 21.10.2021 20:28:02
Bydliště: U I/4 v budoucnu snad M4

Re: I/4 Obecně

Příspěvek od darwousek »

Mě neštve kdo dostal/ nedostal zaplaceno, spíš to že se tomu "údajně nedalo předejít". On by byl asi pro řsd problém posunout firmu na VDZ až potom co si ta druhá firma udělá diagnostiku a opraví případné "nově vznikající závady". Tohle je chyba "pouze" za pár tisíc KČ, ale je vidět jak se hospodaří s penězmi, a pak není na přeložky....
Křižovatky I/_ × II/__ mají být MÚK nikdy ne OK .
D4 Má být minimálně do Strakonic.
Mike
Příspěvky: 6063
Registrován: 15.3.2009 14:09:33

Re: I/4 Obecně

Příspěvek od Mike »

tohle je problém všude
setkal jsem se s tím ve zdravotnictví, kdy ředitel, který chtěl řídit nemocnici "ala SAP" velmi rychle skončil, protože by se nedala duplikovat vyšetření a tedy i úhrady
tady to bude velmi podobné
přitom by ten soft byl "jednoduchý" kalendář s názvem komunikace
Česká zákonodárnost – odpovědným budiž ten, koho lze nejsnadněji chytit
darwousek
Příspěvky: 1614
Registrován: 21.10.2021 20:28:02
Bydliště: U I/4 v budoucnu snad M4

I/4 Opravy a menší rekonstrukce

Příspěvek od darwousek »

Asi bude vhodnější na tohle založit nové téma a I/4 Strakonice - Vimperk nechat čistě na přeložky

Zakázka na I/4 Bohumilice - Výškovice, je tam i DIO, to bude zase radost :)

V kombinaci s Volyňskou ve Strakonicích kterou zase zjara zavřou, s rekonstrukcí ve Volyni a s rekonstrukcí žel. mostu u Kubovy Huti která by taky měla letos proběhnout, to udělá z I/4 ze Strakonic na hranice absolutně nepoužitelnou silnici. Navíc ačkoliv jde pouze o částečnou uzavírku tak je stanovena objízdná trasa pro NA nad 10t a to přes Zdíkov a Vacov. Jenže ze Zdíkova na Vacov už náklaďáky nějakou dobu nesmí protože se tam vesele rozpadá most a je na něm max. 16t, takže objížďka platí pro 10-16t a zbytek má smůlu :lol: Opět vrchol organizace a sehranosti v ČR.
Křižovatky I/_ × II/__ mají být MÚK nikdy ne OK .
D4 Má být minimálně do Strakonic.
darwousek
Příspěvky: 1614
Registrován: 21.10.2021 20:28:02
Bydliště: U I/4 v budoucnu snad M4

Re: I/4 Opravy a menší rekonstrukce

Příspěvek od darwousek »

Když už jsme byli u té Kubovky tak od 31.3 ;) JIŽNÍ ČECHY: Rekonstrukce železničního viaduktu a oprava přejezdu uzavřou silnici do Strážného, Libínské sedlo dostane 1. větší zkoušku po rekonstrukci objížďka stanovena tudy
Křižovatky I/_ × II/__ mají být MÚK nikdy ne OK .
D4 Má být minimálně do Strakonic.
darwousek
Příspěvky: 1614
Registrován: 21.10.2021 20:28:02
Bydliště: U I/4 v budoucnu snad M4

Re: I/4 Obecně

Příspěvek od darwousek »

Souhrn nových informací o uzavírkách/ omezeních na I/4

1. Volyňská ul. Strakonice
Uzavírka Volyňské ve Strakonicích se blíží. Rekonstrukce potrvá ještě půl roku
A přiložím sem i DIO
Kompletní uzavírka přetrvá od 7.4. až do 19.10

2. Náměstí ve Volyni
Ve Volyni je v plánu poměrně velká rekonstrukce náměstí viz. Projekt rekonstrukce náměstí Svobody
Ještě tady je reportáž ČT, je zde i kraťoučká pasáž o obchvatu. Kdyby to někoho zajímalo tak revitalizaci náměstí bude provádět Metrostav společně se Strakonickou PRIMA a.s.

3. Viadukt Kubova Huť
Termíny už také máme.
1. Etapa - Uzavírka viaduktu + přejezdu u žel. stanice Vimperk zastávka 1.4 - 10.4
2. Etapa - Uzavírka viaduktu. 10.4 - 16.6.
3. Etapa - Kyvadlový provoz pod viaduktem. 16.6 - 31.7.
zdroj: https://zakrasnejsivimperk.cz/?p=340482
Křižovatky I/_ × II/__ mají být MÚK nikdy ne OK .
D4 Má být minimálně do Strakonic.
darwousek
Příspěvky: 1614
Registrován: 21.10.2021 20:28:02
Bydliště: U I/4 v budoucnu snad M4

Re: I/4 Obecně

Příspěvek od darwousek »

Viadukt Kubova Huť
Oprava železničního přejezdu a mostu na Prachaticku uzavře silnici I/4, nepojedou ani vlaky
Na Stránkách MĚÚ Vimperk už i DIO

A tady ještě souhrn všeho na deníku Vodňany, Strakonice, Volyně i dál na Strážný. Připravte si nervy na uzavírky bohužel opět zamčený pod premium, tady je odkaz na print friendly
Křižovatky I/_ × II/__ mají být MÚK nikdy ne OK .
D4 Má být minimálně do Strakonic.
Marek 3035
Příspěvky: 187
Registrován: 27.2.2023 5:45:32
Bydliště: Stochov

Re: I/4 Obecně

Příspěvek od Marek 3035 »

Asi si místo autobusu pořídím letadlo. :mrgreen:
darwousek
Příspěvky: 1614
Registrován: 21.10.2021 20:28:02
Bydliště: U I/4 v budoucnu snad M4

Re: I/4 Obecně

Příspěvek od darwousek »

Uzavírka u Kubovy Huti bude ještě měsíc. Staví se nový viadukt
„Současně se zvětší i délka přemostění na šestnáct a půl metru. Dojde k výškové a směrové úpravě silnice I/4 v problematickém místě křížení s železniční tratí,“ doplnil mluvčí Správy železnic
Tak alespoň nějaké zlepšení situace směrem od Vimperka na hranice.
Křižovatky I/_ × II/__ mají být MÚK nikdy ne OK .
D4 Má být minimálně do Strakonic.
Odpovědět

Zpět na „I/4“