[D1] 01191.A MÚK Brno jih

Praha – Jihlava – Brno – Vyškov – Hulín – Přerov – Lipník nad Bečvou – Bělotín – Ostrava – Polsko
Odpovědět
Aram96
Příspěvky: 10434
Registrován: 13.8.2018 20:56:09
Bydliště: A88-R43-D43-I/43-I/73-?-?

Re: [D1] 01191.A MÚK Brno jih

Příspěvek od Aram96 »

Davová psychóza obecně je pochopitelná, kór když jsou omezení a zmatky, ale přesně jak píšeš, to myškování mezi patníky, to nepochopím teda nikdy. Psychóza nepsychóza, tohle je na hlavu každý jeden jednotlivec, který to udělal. Kdyby to bylo provedeno někde na začátku, kde třeba není úplně jednoznačně vyznačená trasa, kudy jet, tak prosím.
Kulich
Příspěvky: 64
Registrován: 29.12.2009 16:32:29
Bydliště: Brno | Třinec | Trenčín

Re: [D1] 01191.A MÚK Brno jih

Příspěvek od Kulich »

https://www.facebook.com/share/v/1DN4BCLyKy/

Tady je vidět jak je to zmatečné…. A to je pouze jeden směr.
michal
Příspěvky: 6123
Registrován: 14.3.2009 8:53:04

Re: [D1] 01191.A MÚK Brno jih

Příspěvek od michal »

No ty návěsti by mohli zakrýt, to je pravda, to je ale u nás bohužel běžné, že se nezakrývají, i když neplatí. Nicméně ani ze zrychleného videa mi není zřejmé, jak se tady dá při dodržování MPR 60 km/h a věnování se řízení odbočit jinam, než je povoleno.
michal
Příspěvky: 6123
Registrován: 14.3.2009 8:53:04

Re: [D1] 01191.A MÚK Brno jih

Příspěvek od michal »

Tak teď už PČR nežasne, ale kritizuje... :D

https://www.novinky.cz/clanek/domaci-po ... _variant=0

Jako že si to zhotovitel udělal podle sebe? Ono to nemá žádnou úředně schválenou podobu?
Aram96
Příspěvky: 10434
Registrován: 13.8.2018 20:56:09
Bydliště: A88-R43-D43-I/43-I/73-?-?

Re: [D1] 01191.A MÚK Brno jih

Příspěvek od Aram96 »

A to si stěžuje ta stejná Policie, která všechna ta přechodná ustanovení připomínkuje?
Nebo nebylo dodrženo značení dle přechodné úpravy?
milanek
Příspěvky: 240
Registrován: 25.12.2015 23:43:50

Re: [D1] 01191.A MÚK Brno jih

Příspěvek od milanek »

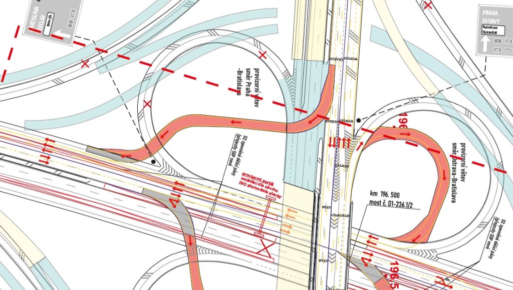
Podle mé tam ten náklaďák stavby musel nějako projet, takže si myslím, že oproti videu PČR tam nebyl ten prostřední sloupek v tom pravém pruhu a prosté byla celá šířka pravého pruhu průjezdná mezi těmi přechodnými sloupky, a to ve spojení s těmi tabulemi navádéjícímI řidiče rovně k exitu vedlo k tomu zmatku.
MaPoX
Příspěvky: 161
Registrován: 4.6.2023 15:33:53

Re: [D1] 01191.A MÚK Brno jih

Příspěvek od MaPoX »

PetrN
Příspěvky: 1176
Registrován: 8.3.2022 10:50:52
Bydliště: 1km od budoucí MUK D2xD52

Re: [D1] 01191.A MÚK Brno jih

Příspěvek od PetrN »

Toto řešení pruhů na D2 směr Břeclav mi přijde z hlediska kapacity hodně nešťastné. V reálu to dopadá tak že v místě připojení z D1 od Prahy je veškerý provoz nacpaný v pravém průběžném pruhu i přestože je již vlevo nový druhý pruh. Kdyby se z připojováku z D1 od Vyškova stal pravý průběžný a z Brna levý průběžný, byla by výrazně lepší využitelnost jednotlivých pruhů a více kapacity pro připojení silného proudu od Prahy. Asi chápu že takto je to zřejmě z důvodu že nově otevřený levý pruh má omezený vjezd nad 2,2m tzn. že by se NA jedoucí z Brna musely najednou řadit doprava? Nebo jaká je jiná motivace pro toto řešení?
D2_pripojeni.jpg
D2_pripojeni.jpg (153.79 KiB) Zobrazeno 2639 x
Ekvivaletně s tím že přece v opačném směru vedena doprava ve dvou pruzích, kdy v pravém pruhu se drží ti co jedou na Vyškova či Prahu a levý pruh je je plný aut co jedou do Brna... Ostatně v DIO pro 2.etapu v zadávací dokumentaci žádné rakové harakiri se slučováním a vznikáním nového pruhu nebylo...
D2_DIO.jpg
D2_DIO.jpg (144.37 KiB) Zobrazeno 2626 x
mapman
Autor
Příspěvky: 6294
Registrován: 25.2.2009 22:20:05

Re: [D1] 01191.A MÚK Brno jih

Příspěvek od mapman »

PetrN píše: 9.1.2026 8:40:00 ... Asi chápu že takto je to zřejmě z důvodu že nově otevřený levý pruh má omezený vjezd nad 2,2m tzn. že by se NA jedoucí z Brna musely najednou řadit doprava? Nebo jaká je jiná motivace pro toto řešení?
To je přesně ten důvod, od Hněvkovského jezdí ne úplně málo nákladních vozidel a dostat je v tomto místě z levého do pravého pruhu, který bude plný aut přijíždějících od Ostravy, dřív, než se levý pruh zúží na 2,5 m, by mohl být problém. Aspoň v minulosti tomu tak v jiných lokalitách bylo. V praxi se zatím zásadní kapacitní problémy v tomto místě neukazují - uvidíme co to udělá na jaře...
zesp
Příspěvky: 1290
Registrován: 19.5.2015 20:58:53

Re: [D1] 01191.A MÚK Brno jih

Příspěvek od zesp »

Sám jsem měl tu čest tou křižovatkou projet z D2 na Olomouc a příště se jí radši vyhnu. Byl jsem zděšen stavem svislého a hlavně vodorovného značení. Toto se fakt nepovedlo a vůbec se nedivím těm, kteří na té stavbě skončili. Změť stavebních výjezdů, téměř smazaných žlutých čar a jen malé oranžové tabulky se směrovkou, které vykouknou zpoza kamionu na poslední chvíli. A taky jsem visel za náklaďákem, který jel na stavbu. Žádný maják, žádné odlišení.. Naštěstí jsem si to na poslední chvíli uvědomil a najel správně... A to si myslím, že se trochu vyznám... Toto ŘSD fakt nezvládlo. A to byl slabý provoz, takže kolony jen v samotném křížení. No snad ti řidiči, co najeli na tom videu špatně a policie je tam odchytla, dostali místo pokuty velkou omluvu za zpackanou uzavírku... Já tudy už nejedu...
Lenny
Autor
Příspěvky: 12224
Registrován: 15.3.2009 22:03:53
Bydliště: na levém břehu Dunaje

Re: [D1] 01191.A MÚK Brno jih

Příspěvek od Lenny »

Dívám se na kamery a už se jezdí po D2. Demolice proběhla úspěšně.
D47 už máme, teď ještě D48
Kam teče beton, tam tečou peníze. (Tonda Blaník)
Diaľničiar
VIP
Příspěvky: 27795
Registrován: 15.3.2009 20:16:13
Bydliště: EU, IL

Re: [D1] 01191.A MÚK Brno jih

Příspěvek od Diaľničiar »

D1xD2

Víkendová přehlídka demoliční techniky na likvidaci dálničního mostu v Brně.
.
1768160771778.jpg
1768160771778.jpg (169.4 KiB) Zobrazeno 1962 x
1768160770203.jpg
1768160770203.jpg (141.68 KiB) Zobrazeno 1962 x
1768160772652.jpg
1768160772652.jpg (192.2 KiB) Zobrazeno 1962 x
za lepší silnice a dálnice
Historie výstavby v HR
čtěte a hlasujte
PetrN
Příspěvky: 1176
Registrován: 8.3.2022 10:50:52
Bydliště: 1km od budoucí MUK D2xD52

Re: [D1] 01191.A MÚK Brno jih

Příspěvek od PetrN »

Za posledních pár dní jsem křižovatkou jel v různých směrech a to vodorovné značení je na mnoha místech více než tristní, resp. žádné. Moje poznatky:
+ již od podzimu tristní značení kolem průpletu Ova-BA BA-Pha je nyní obnovené a 4 provizorní pruhy (2+1+1) jsou naprosto zřetelné a přišlo mi že bez zmatkujících řidičů
- připojení z D2 na D1 směr Vyškov téměř nečitelné, stejně tak následné oddělení 2 jízdních pruhů, kde víceméně jasně dominuje původní bíla plná čára a pocitově tam jedou všichni jak kdyby v jednom pruhu roztaženi dle bílé čáry a levým tak tím pádem nejde nikoho předjet, i přestože dle SDZ je jasné že pravý pruh přejíždí do PJP dříve a levý se zákazem nad 2,2m (šířka) pokračuje ještě kus LJP a do PJP přejíždí až dále tak mi přijde že většina řidičů vnímá první přejezd jak kdyby snad služební nebo co a téměř všichni pokračují levým pruhem, a to včetně kamionů, pravým pruhem kromě mě v obou případech nikdo nejel (oboje ale bylo o víkendu). Ve špičce nevím jaké to bude...
- na D2 směr k D1 už je oddělení pruhů taky téměř nečitelné
Veronss
Příspěvky: 364
Registrován: 11.5.2009 20:04:15
Bydliště: Slavkov u Brna

Re: [D1] 01191.A MÚK Brno jih

Příspěvek od Veronss »

Dnes to bylo výživné..
Realita byla kolem dvou hodin
Screenshot_20260112-092925_Opera.jpg
Screenshot_20260112-092925_Opera.jpg (80.97 KiB) Zobrazeno 1631 x
Rozměry obrázku zmenšeny na polovinu. Jirka L.
kot
Příspěvky: 13954
Registrován: 17.6.2010 0:19:32

Re: [D1] 01191.A MÚK Brno jih

Příspěvek od kot »

Veronossi, prosím o překlad : realita byla kolem dvou hodin... Průjezd odkud kam ? díky
PetrN
Příspěvky: 1176
Registrován: 8.3.2022 10:50:52
Bydliště: 1km od budoucí MUK D2xD52

Re: [D1] 01191.A MÚK Brno jih

Příspěvek od PetrN »

Žeby důsledek již prakticky zmizelého žlutého VDZ na D2 směr Brno/D1 a tím pádem veškerý provoz od jihu vedený reálně jen jedním pruhem? Jinak si totiž nedovedu představit takové zdržení...
Diaľničiar
VIP
Příspěvky: 27795
Registrován: 15.3.2009 20:16:13
Bydliště: EU, IL

Re: [D1] 01191.A MÚK Brno jih

Příspěvek od Diaľničiar »

Tak to by byla jiná neschopnost v provozu být to tak.
za lepší silnice a dálnice
Historie výstavby v HR
čtěte a hlasujte
Veronss
Příspěvky: 364
Registrován: 11.5.2009 20:04:15
Bydliště: Slavkov u Brna

Re: [D1] 01191.A MÚK Brno jih

Příspěvek od Veronss »

Podle mě je problém v navigacích.. odbočení z D2 na Vyškov je nově až na konci před mostem a navigace vás vede otáčet se na D1..
Screenshot_20260113-100314_Maps (1).jpg
Screenshot_20260113-100314_Maps (1).jpg (92.6 KiB) Zobrazeno 1118 x
PetrN
Příspěvky: 1176
Registrován: 8.3.2022 10:50:52
Bydliště: 1km od budoucí MUK D2xD52

Re: [D1] 01191.A MÚK Brno jih

Příspěvek od PetrN »

U GoogleMaps se upřímně vůbec nedivím že dělají takové nesmysly. Waze naviguje samozřejmě naprosto normálně po provizorních rampách, a to i tady po té na Vyškov...
Jahus
Příspěvky: 46
Registrován: 21.3.2023 10:54:03

Re: [D1] 01191.A MÚK Brno jih

Příspěvek od Jahus »

Bouračka na D1 x D2:
https://youtu.be/06faFB5BPNU
Aram96
Příspěvky: 10434
Registrován: 13.8.2018 20:56:09
Bydliště: A88-R43-D43-I/43-I/73-?-?

Re: [D1] 01191.A MÚK Brno jih

Příspěvek od Aram96 »

Aha, já čekal záznam bouračky a ona je tam demolice mostu. :D Mimochodem super práce. :ok:
Jahus
Příspěvky: 46
Registrován: 21.3.2023 10:54:03

Re: [D1] 01191.A MÚK Brno jih

Příspěvek od Jahus »

Aram96 píše: 13.1.2026 16:40:28 Aha, já čekal záznam bouračky a ona je tam demolice mostu. :D Mimochodem super práce. :ok:

Já až jsem to odeslal, tak jsem si teprve uvědomil, že to má i tento význam ;) ;) :D :lol: :lol: :lol:
MaPoX
Příspěvky: 161
Registrován: 4.6.2023 15:33:53

Re: [D1] 01191.A MÚK Brno jih

Příspěvek od MaPoX »

Zbouraný dálniční most.


Předpokládám, že ten zbytek mostu nechali, protože to půjde zbourat bez omezení provozu ...
MaPoX
Příspěvky: 161
Registrován: 4.6.2023 15:33:53

Re: [D1] 01191.A MÚK Brno jih

Příspěvek od MaPoX »

Budování nové obří dálniční křižovatky.
MaPoX
Příspěvky: 161
Registrován: 4.6.2023 15:33:53

Re: [D1] 01191.A MÚK Brno jih

Příspěvek od MaPoX »

Ještě jedno krátké video z dronu ...
https://www.youtube.com/shorts/6uk1v538H6s
Odpovědět

Zpět na „D1“